Un terremoto de magnitud 5 en Alborán hace temblar Melilla y parte de Andalucía

Seísmo

No constan daños personales a consecuencia del terremoto.

Un terremoto de 4,7 grados se nota en toda Málaga

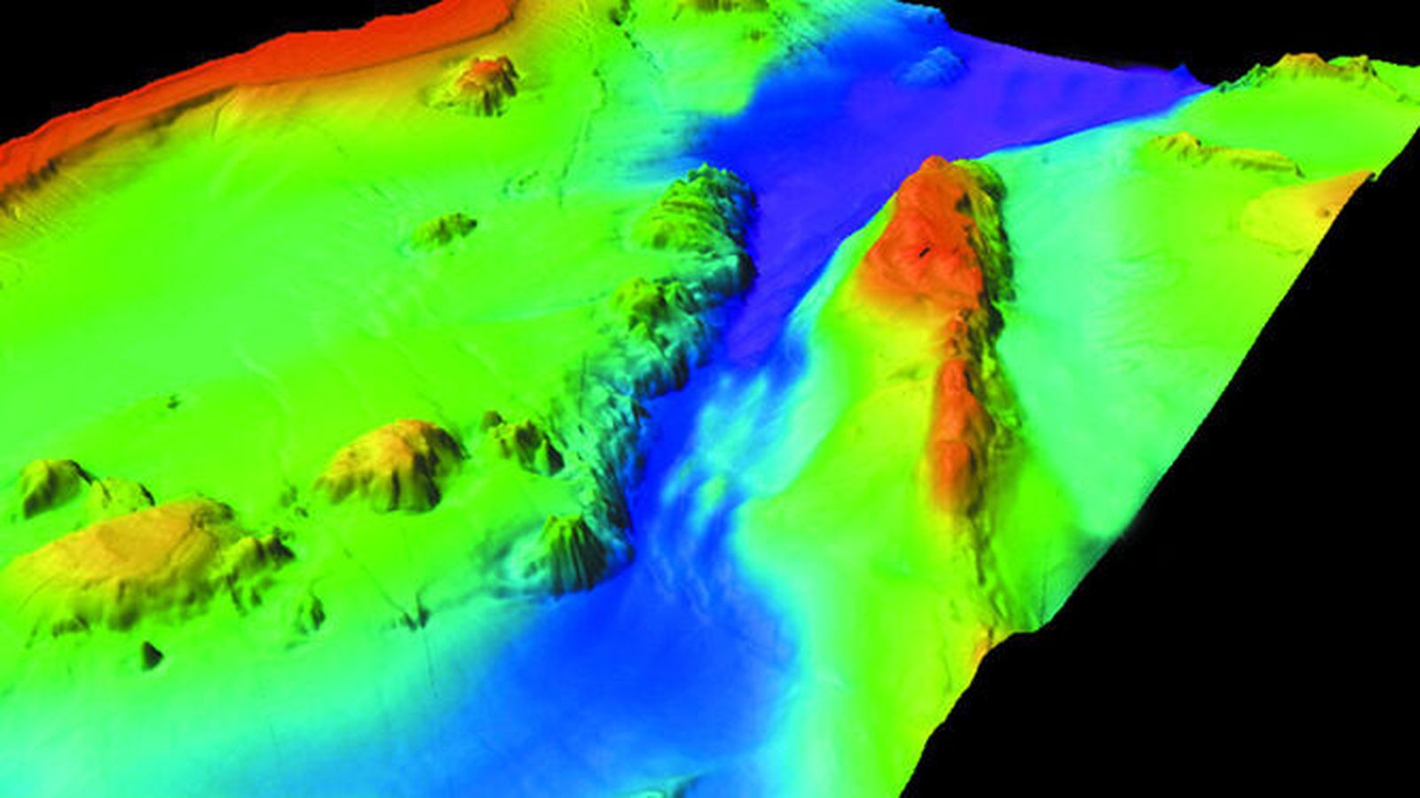
Imagen de la dorsal de Alborán, zona sísmica.
Imagen de la dorsal de Alborán, zona sísmica. / R. D.
R. D.

20 de mayo 2022 - 15:47

Un terremoto de magnitud 5 con epicentro en el sur del mar de Alborán se ha dejado sentir de una manera muy notable en Melilla, y con menos intensidad en toda la costa de Andalucía oriental y otras provincias del interior de dicha comunidad.

El terremoto, según la información facilitada por el Instituto Geográfico Nacional (IGN), se ha registrado a las 14:35 horas a 8 kilómetros de profundidad y el temblor se ha prolongado durante varios segundos, al principio de forma más leve, aunque ha ido en aumento.

Varias provincias afectadas

El IGN informa de que se ha dejado sentir además de en Melilla, en más de una quincena de localidades malagueñas, entre ellas la capital y las costeras de Fuengirola, Marbella, Torremolinos, así como en algunos municipios de Granada, Almería y Jaén.

Emergencias 112 Andalucía ha informado de que no constan daños personales a consecuencia del terremoto, por el que ha recibido seis llamadas, todas ellas en la provincia de Málaga.

Tras este temblor se han registrado varias réplicas de cierta importancia, concretamente una de magnitud 3.6 a las 14:43 horas; otra de 3.2 a las 14:46 y otra de 3.1 a las 15:01 horas.

Melilla sufrió en la madrugada del 25 de enero de 2016 un fuerte terremoto, de magnitud 6.3, con epicentro en el mar de Alborán que provocó numerosos daños en inmuebles públicos y privados, además de cerca de una treintena de heridos.

stats